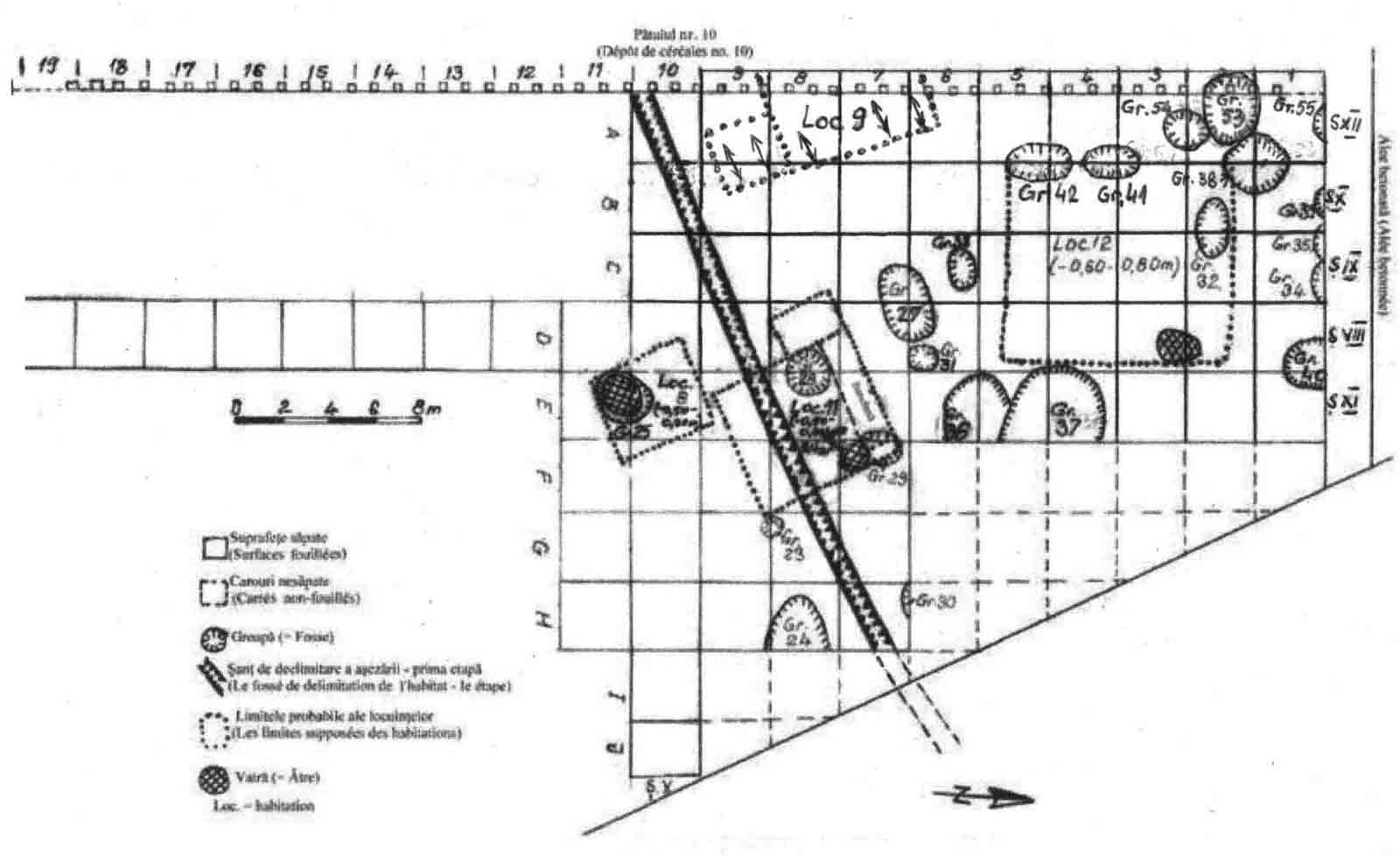
Informaţii despre imagine
|
Datare
|
|
2004 |
|
Publicată în
|
|
Cronica Cercetarilor Arheologice din România, Campania 2004 - Raportul nr. 220
|
|
| |
Situri asociate imaginii
|
|
Informaţii despre sit
|
|
Localizează pe harta României*
|
|
Cod RAN
|
|
95480.01 |
|
Nume
|
|
Aşezarea neolitică de la Târgu Frumos - Baza Pătule |
|
Județ
|
|
Iaşi |
|
Unitate administrativă
|
|
Oraş Târgu Frumos |
|
Localitate
|
|
Târgu Frumos |
|
Adresa
|
|
Str.Ştefan cel Mare nr.25 |
|
Punct
|
|
Baza Pătule |
|
Reper
|
|
Aşezarea se află la 200 m N de Fabrica de confecţii, în perimetrul fostei Baze de pătule a Romcereal Iaşi, pe malul drept al pârâului Adâncata, afluent de stânga al Bahluieţului. |
|
Forma de relief
|
|
terasă |
|
|
|
|
Imagine preluată din Cronica Cercetărilor Arheologice din România, Campania 2004. Raportul nr. 220
|