Informaţii despre imagine
Datare   2005
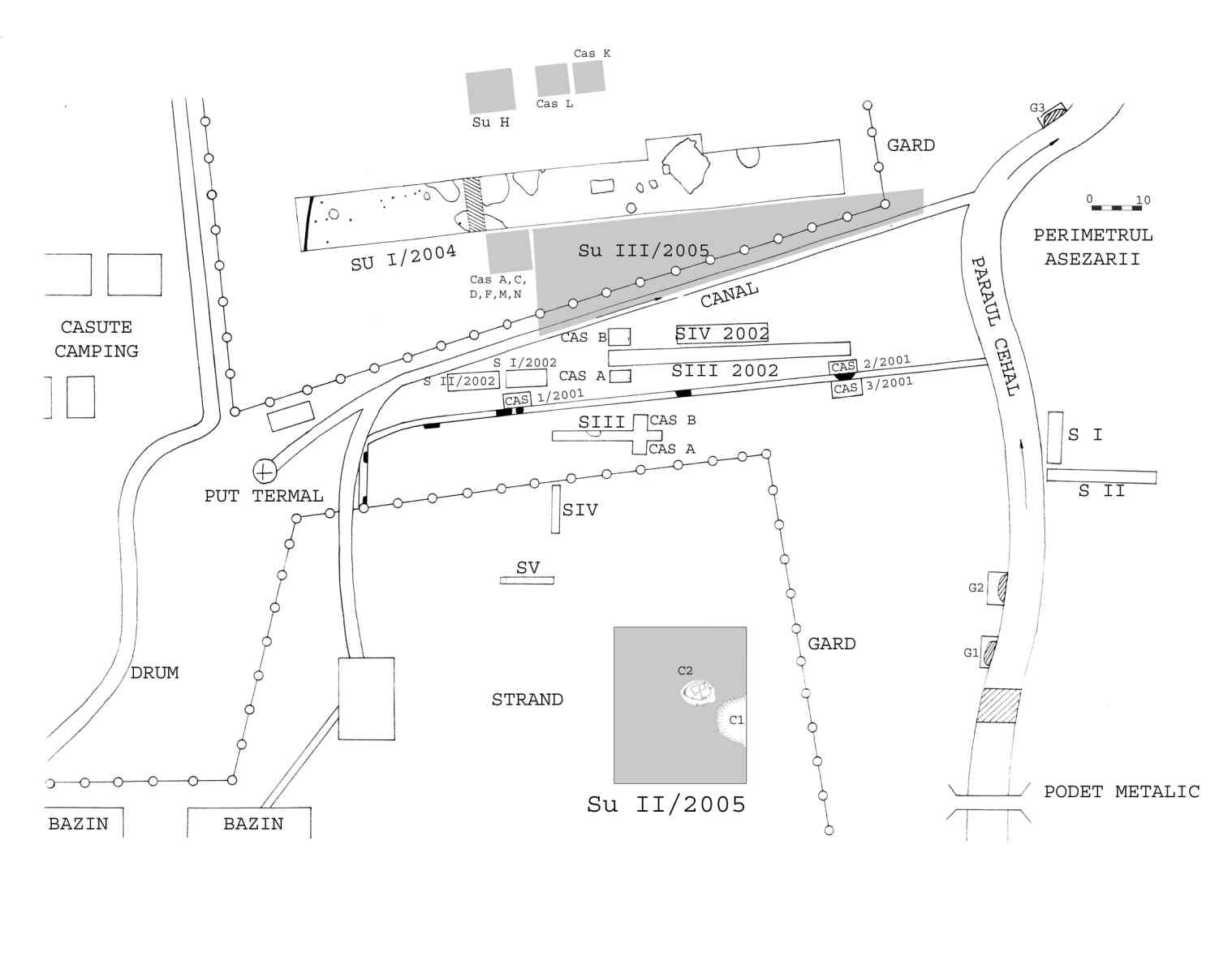
Publicată în   Cronica Cercetarilor Arheologice din România, Campania 2005 - Raportul nr. 193
Referință internet  
 
Situri asociate imaginii
Informaţii despre sit   Localizează pe harta României*
Cod RAN   136651.01
Cod LMI (Lista Monumentelor Istorice) Lista Monumentelor Istorice din 2010   SM-I-s-B-05197
Nume   Situl arheologic de la Tăşnad - La Sere
Județ   Satu Mare
Unitate administrativă   Oraş Tăşnad
Localitate   Tăşnad
Punct   La Sere
Reper   Situl se află într-o zonă joasă, din partea sud-vestică a perimetrului oraşului Tăşnad, în zona ştrandului Tăşnad, pe prima şi a doua terasă a Cehalului.
Forma de relief   terasă
   
|<<
<
24 / 41
>
>>|
Imagine preluată din Cronica Cercetărilor Arheologice din România, Campania 2005. Raportul nr. 193
Scroll