Site Information
|
Location
|
|
Display on the map of Romania
*
|
|
RAN Code
|
|
130099.01 |
LMI Code (List of Historic Monuments)
|
|
OT-I-s-B-08517 |
|
Name
|
|
Situl arheologic de la Mărgăriteşti - La Cetate |
|
County
|
|
Olt |
|
Commune
|
|
Voineasa |
|
City/Town/Village
|
|
Mărgăriteşti |
|
Place
|
|
La Cetate |
|
Landmark
|
|
Situl este localizat pe dealul din marginea de V a satului, pe terasa Olteţului. |
|
Hydrographic landmark - name
|
|
Olteţ |
|
Hydrographic landmark - type
|
|
pârâu |
|
Geomorphology
|
|
deal |
|
Land utility
|
|
agricultură |
|
Site Class
|
|
locuire; descoperire funerară |
|
Site Type
|
|
aşezare militară; mormânt |
|
Description
|
|
Situl este o aşezare geto-dacică fortificată cu şanţ şi val de apărare ce suprapune o locuire de epoca bronzului. Cetatea este amplasată pe terasa dreaptă (de vest) a râului Olteţ, la aproximativ 600 de metri distanţă de acesta, beneficiind de o vizibilitate excelentă în toate direcţiile. Situată pe un deal înalt, locaţia cetăţii este strategică, fiind fortificată natural pe trei laturi (nord, sud şi est) de râpe abrupte şi adânci. Pe a patra latură (vest), apărarea a fost asigurată prin săparea unui şanţ şi amenajarea unui val de pământ în spatele acestuia. Chiar şi în prezent, laturile delimitate de râpe sunt dificil de escaladat, ceea ce sugerează gradul ridicat de protecţie pe care îl oferea cetatea în antichitate. Împrejurimile oferă condiţii favorabile pentru locuire, incluzând pământ fertil pentru agricultură, surse de apă (izvoare), păşuni şi păduri, ceea ce explică alegerea acestui punct pentru stabilirea unei aşezări. Forma cetăţii este patrulateră neregulată, cu laturile uşor arcuite spre exterior. Rămâne însă neclar dacă acest aspect este rezultatul lucrărilor din antichitate, al eroziunii de-a lungul timpului sau al unor intervenţii mai recente, precum lucrări agricole sau terasări. Dimensiunile platoului cetăţii, măsurate cu precizie pe o aplicaţie precum Google Earth, sunt de 179 x 93 m. În această analiză nu sunt discutate atribuirea cetăţii ca „de refugiu” sau alte interpretări. Râpa de pe latura sudică a fortificaţiei funcţionează în prezent ca drum comunal. Fragmente ceramice şi de chirpici, provenind din cetate, pot fi observate ocazional căzute pe marginea drumului. În prezent, platoul cetăţii este utilizat de localnici ca teren agricol. Starea de conservare a cetăţii de la Mărgăriteşti este, în ansamblu, bună. Deşi timpul şi lucrările agricole au adus unele modificări, cetatea se păstrează în întregime. Fragmente de chirpici provenite din fostele ziduri (murus) sau locuinţe antice sunt vizibile pe suprafaţa solului, multe dintre acestea fiind căzute spre sud, până la drumul ce urcă spre platou. În acelaşi timp, se remarcă o abundenţă de fragmente ceramice. Examinarea acestor cioburi i-a permis lui Mihai Butoi să identifice cel de-al doilea sit arheologic (cel preistoric, nr. 69 în extrasul LMI), reprezentat de fragmente de vase ce aparţin culturilor Coţofeni şi Glina: prima, caracteristică perioadei de tranziţie către epoca bronzului, iar a doua, de la începutul acestei epoci. |
|
Notes
|
|
Înregistrarea de sit include şi informaţiile asociate codului RAN 130099.02, care a fost iniţial utilizat pentru identificarea sitului ce cuprinde aşezările Glina şi Coţoteni. |
|
Discoverer
|
|
Mihail Butoi |
|
Date of discovery
|
|
1970 |
|
State of preservation
|
|
bună / 08.04.2025 |
|
Human risk
|
|
Afectare parţială: 1 / 08.04.2025; Agricultură intensivă: 3 / 08.04.2025 |
|
Last record update
|
|
08.04.2025
|
|
| |
Finds
|
|
Class/ Type
|
Period (Date)
|
Culture/ Cultural phase
|
Documentary attestation
|
Description/ Notes/ Location within the site
|
LMI Code
|
|
Aşezare fortificată
|
La Tène
(sec. IV-II a. Chr.)
|
geto-dacică
|
|
Aşezarea fortificată prezintă un plan patrulater neregulat, cu laturile uşor arcuite spre exterior. Platoul cetăţii, conform măsurătorilor efectuate cu ajutorul unei aplicaţii precum Google Earth, are dimensiunile de 179 x 93 m. Locuirea geto-dacică de pe acest platou a fost datată între secolele IV – II a. Chr., (limita superioară este susţinută de descoperirea unor monede atribuite lui Filip al II-lea, 359-336 î.Chr.). Sistemul defensiv al fortificaţiei a fost secţionat în anul 1973, fapt ce a permis culegerea unor informaţii foarte interesante. Săparea şanţului de apărare a generat o cantitate considerabilă de pământ, care a fost aruncat spre interior pentru ridicarea unui val de pământ (vallum) cu o lăţime de 10 m şi o înălţime de 1 m. Stratul generalizat de arsură identificat sugerează o posibilă incendiere (poate în scop de purificare?), urmată de ridicarea unui murus realizat din chirpici uscaţi la soare şi/sau arşi pe loc. În ciuda numeroaselor ipoteze, modul exact de amenajare a unor astfel de construcţii rămâne un subiect intens dezbătut. Acest murus era construit după tehnica vremii, fiind compus din doi paramenţi (unul interior şi unul exterior), între care se afla un strat de miez (emplecton), toate aceste elemente fiind arse. Este posibil ca arderea chirpicilor să fi fost realizată în altă parte, dar există şi indicii ale unei incendieri locale extrem de intense, ce a dus pe alocuri la vitrificarea miezului valului. La momentul săpăturilor din 1973, zidul se păstra pe o înălţime de 2 m. Fragmente de chirpici arşi sunt vizibile şi în prezent pe întreaga suprafaţă a cetăţii, unele dintre ele fiind prăvălite pe latura sudică, până la drumul actual de tarla. În ceea ce priveşte şanţul de apărare (fossa), acesta nu a beneficiat de o documentare detaliată din partea cercetătorilor, nefiind publicat un profil exact al acestuia şi nici dimensiunile sale complete. Din păcate, lipsa datelor exacte se datorează dispariţiei celor care ar fi putut realiza aceste înregistrări detaliate. Astfel, informaţiile actuale sunt fie estimate, fie aproximative, pe baza observaţiilor de suprafaţă. Vegetaţia abundentă din anumite perioade a complicat suplimentar astfel de analize. În prezent, şanţul are o lăţime la gură estimată la 4-5 m, iar adâncimea acestuia a fost aproximată la 5 m. Această valoare a fost calculată scăzând înălţimea păstrată a valului (2 m) din diferenţa de nivel de aproximativ 7 m între coama valului şi fundul şanţului, conform datelor publicate de C. Preda. Cu toate acestea, profilul şanţului inclus în lucrările lui Preda este incomplet, deoarece fossa nu a fost inclusă integral în reprezentarea grafică. În interiorul spaţiului fortificat a fost cercetată şi o locuinţă cu dimensiunile de 3,5 x 2,2 m, suprinsă la o distanţă de 6,5 m spre interior de valul cetăţii. În interiorul locuinţei, la 1,5 m de colţul său nord-estic, a fost descoperită o oală ce avea in interior mai multe fragmente de oase umane incinerate. Inventarul sitului arheologic din a doua vârstă a fierului este, în mare parte, compus din vase ceramice, majoritatea păstrate fragmentar. Ceramica predominantă a fost realizată manual, cu un număr mai redus de vase lucrate la roată. Dintre acestea, se remarcă oalele, utilizate probabil pentru multiple scopuri, cea mai frecventă întrebuinţare fiind prepararea hranei, lucru demonstrat de urmele de ardere secundară de pe suprafaţa exterioară. O astfel de oală a fost reutilizată ca urnă funerară, conţinând resturi umane incinerate. În plus, olarii geţi acordau o atenţie deosebită decorării vaselor, aplicând butoni cilindrici şi brâuri alveolate (crestate). Aceste elemente decorative aveau, fără îndoială, şi o funcţie practică, facilitând manipularea şi utilizarea vaselor. De exemplu, unele oale aveau două toarte în partea superioară şi patru apucători sub diametrul central, ceea ce sugerează utilizarea lor, cel mai probabil, pentru stocarea lichidelor. Astfel de vase sunt caracteristice începutului celei de-a doua vârste a fierului, fiind frecvente în secolul al IV-lea î.Chr. Printre alte recipiente ceramice, păstrate fragmentar, se remarcă decoruri diverse, precum brâuri alveolate sau crestate, butoni simpli ori decoraţi cu cruci incizate şi linii incizate oblice. Aceste vase sunt caracterizate de pereţi groşi, realizaţi dintr-o pastă grunţuroasă ce conţinea nisip, pietricele şi fragmente pisate de vase. De asemenea, au fost identificate ceşcuţe şi căniţe mici, care ar fi putut fi utilizate ca instrumente de iluminat (căţui). Alte descoperiri includ un capac ceramic de formă tronconică (fig. 8/2) şi un creuzet miniatural, deşi aceste interpretări sunt bazate pe descrieri indirecte, întrucât obiectele nu au fost examinate direct. Obiectele metalice descoperite sunt puţine, dar relevante. Printre acestea se află o fibulă de tip tracic, datată între secolele IV-III î.Chr., care constituie un indiciu valoros al începuturilor fortificaţiei getice de la Mărgăriteşti. O a doua fibulă, cu resort bilateral, este de tip Latène D, datând de la finalul celei de-a doua vârste a fierului, aproximativ în perioada 75-25 î.Chr. Printre alte descoperiri metalice se numără un pumnal cu lama curbă, de tip sica, şi un cosor (sau seceră), ambele fiind specifice siturilor din această perioadă.
|
OT-I-s-B-08517
|
|
Aşezare
|
Epoca bronzului timpuriu
|
Glina
|
|
Situl este localizat la vest de Dealul Cetăţii, pe terasa Olteţului, în exteriorul sistemului de apărare al cetăţii dacice localizate în punctul Cetate.
|
OT-I-s-B-08518
|
|
Aşezare
|
Epoca bronzului timpuriu
|
Coţofeni
|
|
Situl este localizat la vest de Dealul Cetăţii, pe terasa Olteţului, în exteriorul sistemului de apărare al cetăţii dacice localizate în punctul Cetate.
|
OT-I-s-B-08518
|
|
Mormânt
|
La Tène
(secolele IV-III a. Chr)
|
Geto-dacă
|
|
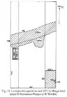
Mormânt de incineraţie cu resturi de cremaţie depuse în urnă. Mormântul a fost identificat într-o locuinţă cu dimensiunile de 3,5 x 2,2 m, suprinsă la o distanţă de 6,5 m spre interior de valul cetăţii. În interiorul locuinţei, la 1,5 m de colţul său nord-estic, a fost descoperită o oală ce avea in interior mai multe fragmente de oase umane incinerate. Urna funerară a fost lucrată cu mâna dintr-o pastă grunţuroasă de culoare cenuşie. Vasul avea gura largă, corpul bombat şi fundul plat. Sub buză avea aplicaţi doi butoni cilindrici, între care avea un brâu crestat. Vasul prezenta la exterior urme de ardere secundară, de la rugul funerar. În interiorul urnei erau fragmente osuare care au aparţinut unei femei. Singurul element de invetar funerar descoperit în urnă este o fibulă de tip tracic, piesă databilă între secolele IV-III a. Chr.
|
|
|
| |
Research
|
|
|
Type
|
Year
|
Observations
|
Institution
|
Name
|
Forename
|
|
1.
|
|
1973-1974
|
|
Muzeul Judeţean de Istorie şi Artă - Slatina
|
BUTOI
|
Mihai
|
|
Institutul de Arheologie "Vasile Pârvan" Bucureşti
|
PREDA
|
Constantin
|
|
2.
|
cercetare sistematică
|
1970-1971
|
|
Muzeul Judeţean de Istorie şi Artă - Slatina
|
BUTOI
|
Mihai
|
|
Institutul de Antropologie din București
|
WOLSKI
|
Wanda
|
|
Bibliography
|
|
1.
DMASI, Proiectul Listei Monumentelor Istorice, 1991 [Proiect LMI] (site record source)
|
|
2.
Lista Monumentelor Istorice, MO nr. 646 bis/16/07/2004, Ordinul ministrului culturii şi cultelor nr. 2.314/2004, vol. III, București, 2004, p. 1862, poz. 68 [Ordin MCC] (site record source)
|
|
3.
Pătroi, Nicolae Cătălin, Preistoria Olteniei. Siturile culturii Coțofeni, Drobeta Turnu-Severin, 2019, 87-88 [Publicaţie]
|
|
4.
Pătroi, Nicolae Cătălin, Repertoriul așezărilor și descoperirilor culturii Coțofeni în Olteni Culturii Coţofeni în Oltenia, litua. Studii și Cercetări, XVIII, Muzeul Județean Gorj "Alexandru Ștefulescu", Târgu Jiu, 2016, 36, https://tinyurl.com/yxfs7k8q [Publicaţie]
|
|
5.
Butoi, Mihai, Săpăturile arheologice de la Brebeni, raport final prescurtat 1970, Neoliticul târziu (eneoliticul) din județul Olt, Slatina, 1999 [Publicaţie]
|
|
6.
Lista Monumentelor Istorice - 2015, jud. Olt, Monitorul Oficial al României, partea I, Nr, 113 bis/15.II.2016, București, 2016, 2072, 69-79, https://www.cultura.ro/sites/default/files/inline-files/LMI-OT.pdf [Baza LMI]
|
|
7.
Bondoc, Dorel, Cetatea getică de la Mărgăritești, județul Olt: studiu arheologic, Iulian Cămui, Studiu istoric aferent PUG-ului comunei Voineasa, județul Olt, Craiova, 2021 [Studiu istoric]
|
|
8.
Nicolaescu-Plopșor, Dardu; Wolski, Wanda, Elemente de demografie și ritual funerar la populațiile vechi din România, București, 1975, 135-141 [Publicaţie]
|
|
9.
Preda, Constantin, Geto-dacii din bazinul Oltului Inferior. Dava de la Sprâncenata, Editura Academiei Republicii Socialiste România, București, 1986, 100-109, https://biblioteca-digitala.ro/?volum=7997-geto-dacii-din-bazinul-oltului-superior-dava-de-la-sprancenata--1986 [Publicaţie]
|
|
10.
Butoi, Mihai, Descoperirile arheologice și numismatice făcute de Muzeul Judeţean Slatina, Slatina, 1999, 34-45 [Publicaţie]
|
|
11.
Butoi, Mihai, Descoperiri arheologice din judeţul Olt, Muzeul Oltului, 3, Slatina, 2013, 29, https://biblioteca-digitala.ro/?articol=66806-descoperiri-arheologice-din-judetul-olt--muzeul-oltului--3-2013 [Publicaţie]
|
| |
|
|
Site
Photos
|